Loài Smilax china thuộc họ Smilacaceae phân bố tại một số vùng trên thế giới như China, Chinese Taipei, Hong Kong, Japan, Korea, Republic of. Dược liệu đã được sử dụng ở một số vùng lãnh thổ để điều trị một số chứng và bệnh tại như ‘china: thuốc tống hơi, thuốc lợi tiểu, thuốc lợi tiểu, chất làm lạnh, có mùi hôi, alexiteric, thuốc lợi tiểu, thuốc bổ’, ‘dutch: làm dịu’, ‘egypt: có mùi hôi’, ‘elsewhere: thuốc giải độc’, ‘english: thuốc kích thích tình dục’, ‘india: thuốc kích thích tình dục, đổ mồ hôi, chất kích thích’, ‘malaya: thuốc kích thích tình dục, thuốc bổ’, ‘anish: chất kích thích’.Từ loài này đã phân lập và xác định được 88 hoạt chất thuộc về 8 nhóm gồm 2-arylbenzofuran flavonoids, benzene and substituted derivatives, carboxylic acids and derivatives, cinnamic acids and derivatives, flavonoids, prenol lipids, steroids and steroid derivatives, sulfoxides.
Tổng quan thực vật
- Kingdom: Plantae
- Phylum: Tracheophyta
- Order: Liliales
- Family: Smilacaceae
- Genus: Smilax
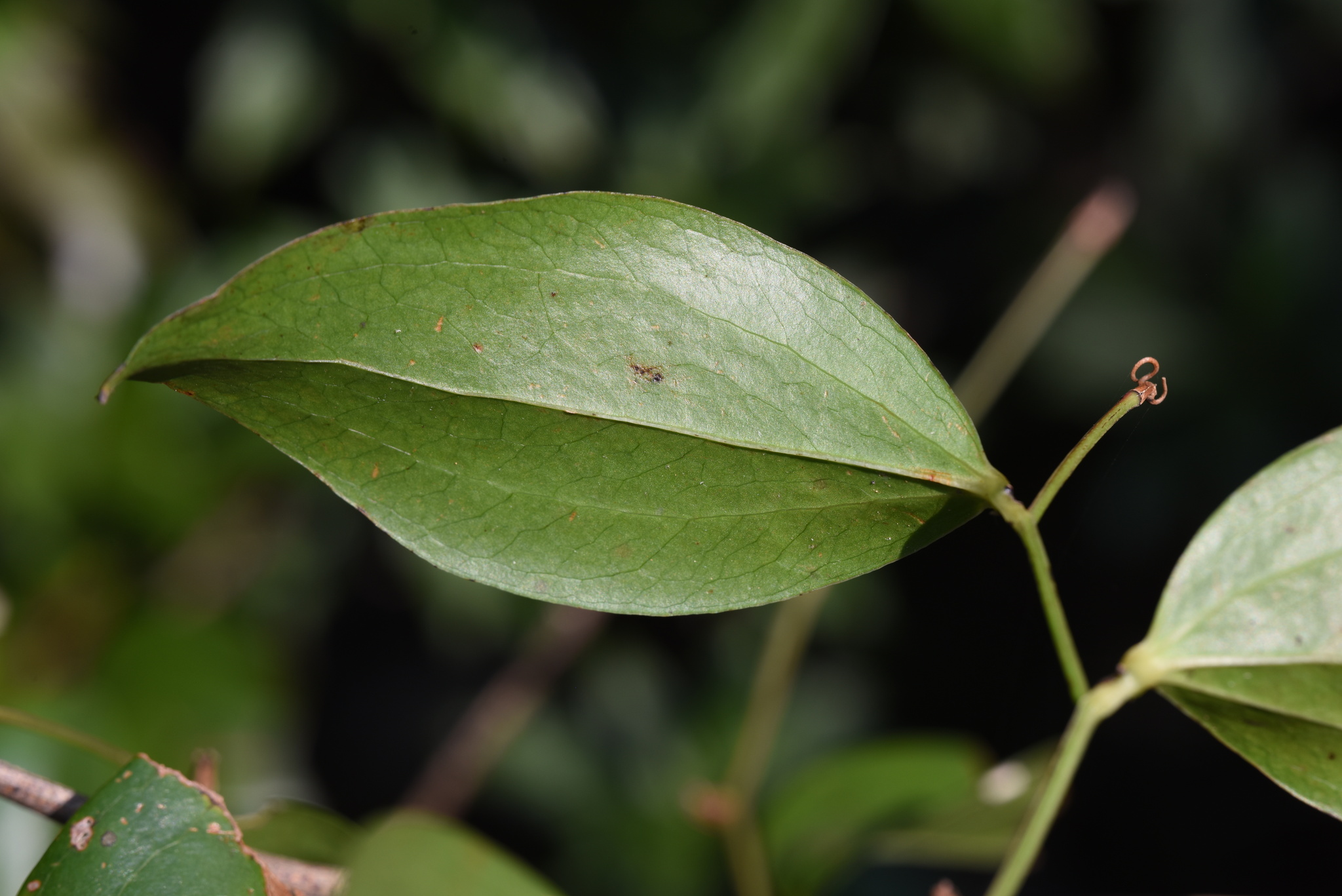
- Species: Smilax china
- Scientific Name: Smilax china L.
- Mô tả thực vật: [loài thực vật]
- Description (EN): [species of plant]
- Tên tiếng Việt: []
- Tên tiếng Anh: []
Theo tài liệu của Dr. DUKE tên họ, chi và loài như sau Family: Smilacaceae - Genus: Smilax - Species: Smilax china . Phân lọai thực vật theo GIBF cho thấykhóa phân loại của thực vật vẫn giữ nguyên
Phân bố trên thế giới: China, Chinese Taipei, Hong Kong, Japan, Korea, Republic of
Phấn bố ở Việt nam: Không có ghi nhận ở Việt Nam
Tổng quan về thành phần hóa học
Loài Smilax china đã phân lập và xác định được 88 hoạt chất thuộc về 8 nhóm gồm 2-arylbenzofuran flavonoids, benzene and substituted derivatives, carboxylic acids and derivatives, cinnamic acids and derivatives, flavonoids, prenol lipids, steroids and steroid derivatives, sulfoxides. Cấu trúc của từng nhóm trình bày chi tiết dưới đây.
Dược dân tộc học
| Vùng lãnh thổ | Chứng và bệnh | |
|---|---|---|
| Row0 | China | thuốc tống hơi, Thuốc lợi tiểu, Thuốc lợi tiểu, Chất làm lạnh, có mùi hôi, Alexiteric, Thuốc lợi tiểu, Thuốc bổ |
| Row1 | Dutch | Làm dịu |
| Row2 | Egypt | có mùi hôi |
| Row3 | Elsewhere | Thuốc giải độc |
| Row4 | English | Thuốc kích thích tình dục |
| Row5 | India | Thuốc kích thích tình dục, Đổ mồ hôi, Chất kích thích |
| Row6 | Malaya | Thuốc kích thích tình dục, Thuốc bổ |
| Row7 | anish | Chất kích thích |
















